Topographical Maps
Topographical Maps
plan, design, and construct complex projects
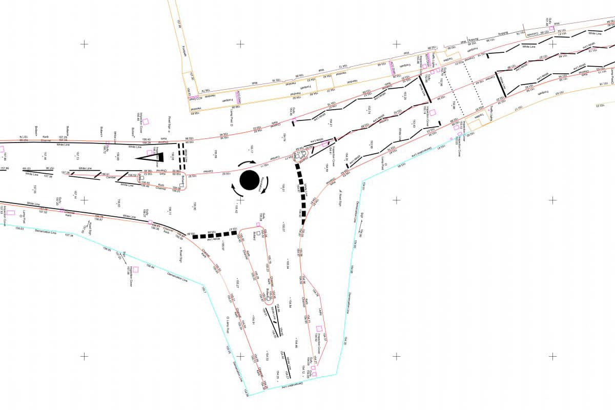
A topographical map is a map that shows what the terrain of an area looks like. This type of map shows elevations, hills, valleys, and depressions, showing features of a physical landscape.
The information on topo maps is produced with methods that include aerial photography and surveying data. Site plans and topographical maps are created from this survey data to provide accurate information and drawings of the site.
We create a drawing showing all proposed improvements to plan, design, and construct complex projects such as roads, bridges, pipelines, sewer systems, water systems, telecommunications infrastructure, etc.
The aim of topographical maps is to create drawings that show all of the important aspects of a particular site. These can be used in various ways, including for environmental impact studies and as part of public consultation processes. They can also be used to determine how difficult it would be to access any proposed worksites or structures on a project.
Site engineers will use CAD and mapping software to create topographical maps. This allows them to show any proposed new structures or buildings, existing features such as utility lines, and areas that would be affected by the proposed works.

CAD & Mapping
Engineers are often called upon to use computer-aided design (CAD) and mapping technology to plan, design, and construct a community’s infrastructure. The increasing complexity of construction projects has led to a significant expansion in CAD and mapping services beyond site layouts for roads, water systems, sewers, storm drains, and other utilities; now, more comprehensive solutions are available that include geotechnical investigations such as 3D modelling of subsurface conditions.
We work with architects & planners during the initial phases of development to create detailed drawings from our data to save time & money throughout the project lifecycle. Our staff members are trained in all aspects of surveying, including creating floor plans, utility locating, and other services used during phases of project pre-construction, such as topographical surveys. Our data capture is conducted by professionals experienced in construction surveying operations with many years of experience in the field.

Highly Accurate 3d Point CloudS
In the past, these types of projects would have been difficult or impossible because they require manual surveying skills. However, there is less need for expensive equipment with laser scanning, and the results can be obtained and analysed more easily.
The main benefit of laser scanning is that it produces highly accurate 3D point cloud. This data can then be used to create a wide range of visualisations, which can be helpful for engineers and designers alike.
We Provide Services for Vast Range of Construction Sites:
We are authorised to provide surveys for a wide variety of scenarios, including power lines and substations. We do so throughout the UK, including London, Surrey, Sussex, Kent & Hampshire.
Power Substations & Lines
Houses
Warehouses
Residential Developments
…. and more
Our Reviews Speak For Themselves





